 |
yooko002のMILU日記 |
 |
|
| タイトル |
 |
ダイビング2日目、マンタはいずこに? |
|
 |
おすすめ(11) |
 |
2016-07-22 01:00:24 |
|
|
昨日は船いっぱいに講習やら体験やら
いっぱい乗っていましたが
今日は半分以下に激減、おかげでのんびり
昨日見たネムリブカが悠々と泳いでいました
このサメは夜行性なので
昼間はよっぽどでないと襲ってきません
・・・そんな状態じゃなくてよかったww
-02.JPG)
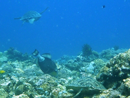
カメもいっぱい
・・・え、真ん中のはかめじゃない?
あれはゴマモンガラという大型の魚です
こいつも縄張りに入ると襲ってくる凶暴な魚です
今日は機嫌が良かったみたいですww
-02.JPG)
のんびり日向ぼっこです。
カメは変温動物なのでひなたで体を温めてから
動き出すのです
-02.JPG)
これはまた別なポイント
ちょっと深いのですが
魚がいっぱい!
本当はこのあたりにマンタが出たと言っていたので
見つけに入ったのですが
本日は休業(笑)のようでした
かわりにでっかいロウニンアジ、釣りで言うGT
70cmオーバーの大物です
今日は他にもマダラトビエイも見られて
まあまあ大物ですw
マンタは見られなかったけど楽しかったですー
まだまだもう一日もぐりますよー
つづく
|
|
|
|
|
| コメント(11) |
| ななこななこ |
2016-07-22 05:05:39 |
|
|
サメ、ドキドキもモノですねー@@
ウミガメカワイイ
どの海とってもキレイだあ(*^_^*)
マンタ見れるといいですね^^ |
|
|
|
| Fi |
2016-07-22 07:22:38 |
|
|
小さめのカメかと思ったら
・・・魚が大型なのですね~ ^ ^ |
|
|
|
|
2016-07-22 09:31:19 |
|
|
海中の写真
綺麗ですね^^ |
|
|
|
| 卯乃 |
2016-07-22 12:05:39 |
|
|
(ノ゚ο゚)ノ オオォォォ-色んな魚がー!
ウミガメっていうと、むかーしハワイに行ってダイビングしようと
船で少し沖に行ったらずっとカメが着いて来た事がありました。
しかし私は船酔いしてインストラクターさんが「潜れば平気だから」
と多分英語で言ってたけど、水中で気持ち悪くなったらいやなので結局潜れませんでした(>_<)
懐かしい思い出w |
|
|
|
| フェナボッチ |
2016-07-22 13:57:54 |
|
|
最後の画像が表示されないのは俺だけ?(;´・ω・)
カメ一回でいいから捕まって泳ぎたいなぁ |
|
|
|
| 三日月ロック |
2016-07-22 18:13:15 |
|
|
| いろんな魚がいるんだねぇ^^ |
|
|
|
| vita1019 |
2016-07-22 20:29:46 |
|
|
GTが悠遊と泳いでるw
羨ましいなぁ^^; |
|
|
|
| seraphim16301 |
2016-07-22 21:23:44 |
|
|
サメは嫌ですね~><
浦島太郎もこの亀に乗ったんですね~♪^^
素敵な写真~明日も楽しみです~♪^^ |
|
|
|
| コノカ |
2016-07-22 21:31:07 |
|
|
| 亀かわいい(*´Д`)ハァハァ |
|
|
|
| みかんdrop |
2016-07-22 21:40:06 |
|
|
| 雄大やねぇ (〃▽〃) |
|
|
|
| hirune |
2016-07-24 16:27:29 |
|
|
サメとか現れたら・・( ;゚─゚)ゴクリw
亀の日向ぼっこ~お気に入りな一枚❤(ӦvӦ。) |
|
|
|
| コメント作成 |
|
|
0
|
|